만추의 추곡
필자가 가장 좋아하는 댐 시즌이 돌아 오고 있다.
여름철 사람이 북적거리던 때와는 다르게 첫 서리가 내리고 물그릇에 얼음이 얼기 시작하면서
물안개가 앞이 보이지 않을 정도로 피어나는 요즘 시기를 필자가 가장 좋아 하는 댐낚시 시기이다.
일단 토종붕어든 떡붕어든 힘들게 만나는 대물들 이지만 그 파워가 만만치 않아서
항상 이 시즌이면 꼭 소양댐부터 춘천댐을 찾아 온다.
날씨가 갑자기 추워진다는 소리를 듣고 무작정 소양댐 추곡리권을 찾았다.
날씨가 추워진다고 해서 인지 이시기의 멋진 낚시를 모르는 조사들은 모두 철수를 한 상태였고,
소양댐 추곡리권의 상류를 전세 내다시피 해서 야간 전투 준비에 만전을 기했다.
낮에는 얼굴이 따끈 할 정도의 기온이었지만 오후가 되면서 바람이 살살 불면서 기온이 많이 떨어지기 시작한다.
어찌 보면 이 시기에 댐 낚시를 간다는 것이 이상하게 보일지 모르지만
지금 댐은 너무 깨끗한 느낌과 신선한 느낌으로 다가 오는 것을 느껴 본 사람은 항상 이 시기부터 12월말까지는 소양댐을 찾아 든다.
필자도 2년전 그 황홀했던 기억을 잊을 수가 없어서 올해도 아마 11월 중순경이 다시 한번 올라 오지 않을까 싶다.
** 추수, 수확의 계절입니다... 입큰님들 출조 시 농작물에 피해를 주지 않도록 각별히 주의해 주시기 바랍니다.
|

가을 단풍이 멋지게 어울어진 소양댐 추곡리권입니다.

앞산도 멋지게 단풍이 들었습니다.

옆산도 물든 단풍이 이뻐 보입니다.

취재팀은 상류권 좌대에 대편성을 했습니다.

지금 시기는 분위기와 대물에 빠지기 좋은 시기입니다.

이 시기를 좋아하는 조사들이 있습니다.

댐사랑 카페 고래님의 모습입니다.

고래님의 밤낚시 조과입니다.

울긋 불긋 아름다움에 취해 봅니다.

연안 노지 작업해 논 포인트들이 들어 났습니다. (밑걸림 없음)

상류권 수몰나무 포인트에 자리잡은 좌대입니다.

밤이면 상류권으로 붕어들이 들어 옵니다.
밤 10시경이 되면서 붕어들의 철벅 거리는 소리가 연안에서 들려 온다.
그런 와중 필자의 찌가 살짝 한마디 잠긴다.
가볍게 챔질을 하니 덜커덩 하면서 피아노 줄 우는 소리가 윙윙 난다.
그래 한 마리를 잡아도 이맛이 이 시즌 낚시를 즐기는 것이 아닐까 싶다.
윤교수님도 솟구치는 입질을 보고 월척급 떡붕어를 연속 2수 걸어 낸다.
역시나 힘이 좋다.
이날 챔질을 해서 터트린 것이 무려 5번이다.
취재팀이 낚시를 한 날은 갑자기 추워진 날이어서 그런지 입질이 산만하다.
하지만 기다리던 첫 서리가 내리고 얼음이 얼기 시작했다.
아침 수온을 재어 보니 16도를 나타 낸다.
이렇게 삼일 정도만 지나면 본격적인 가을 먹이 활동에 대물들이 동참할 것으로 여겨진다.
추곡의 가을시즌과 초겨울 시즌.
한번 도전해 보면 색다른 깨끗한 재미에 빠져 들 것이다.
방한 준비만 단단히 한다면 낚시 하는데는 아무런 문제가 없다.
깨끗한 느낌 한 마리를 걸어 도 제대로 된 손맛... 만추의 추곡은 지금부터가 대물시즌이 아닐까 싶다.
|

필자가 밤 10시경 걸어 낸 월척 떡붕어입니다. (힘이 좋습니다)

드디어 기다리던 첫 서리가 내렸습니다.

기다리던 얼음도 이렇게 얼었습니다.

아침에 물안개도 멋지게 펼쳐 집니다.

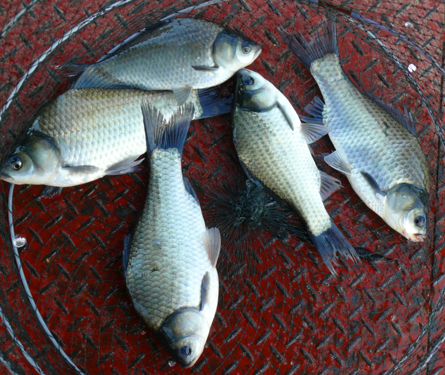
취재팀의 조과입니다.

초겨울이 되면 더 힘을 발휘하는 소양댐 떡붕어입니다.

|