바람이 밉다
광천에서 꽝을 치고 출조지를 놓고 난상 토론을 펼쳤는데
뚜렷히 출조지를 선정하지 못하기에 낙지볶음이나 맛나게 해 먹자는데 의기투합해서 태안군 이원면 소재 이원호로 방향을 잡았다.
서산시장에 들러 싱싱한 낙지를 준비하고 저녁 먹거리를 챙긴 다음 이원호에 도착해 답사를 해보았다.
예전에 낚시를 많이 하던 곳은 지금 도로 공사 중이어서 진입을 못해 하류권으로 찾아 내려 가다 보니
지난번 82yu님이 재미를 본 곳이 생각이 나서 그곳에서 오늘 하룻밤을 주말팀과 함께 보내기로 했다.
포인트에 진입하고 서둘러 대편성을 하고 밤낚시에 들어 가는데 초저녁에 입질이 몇번 오더니 바람의 방향이 밤이 되면서 바뀐다.
낮동안 등바람으로 편히 채비를 던질 수 있었는데 밤이 되면서 맞바람이다.
바람이 불면서 맞바람 포인트는 거의 입질이 없고, 바람이 가장 적게 타는 구찌님 자리에서만 연속 입질이 이어진다.
|

충남 태안군 이원면 소재 이원호 전경

이원호 샛수로 전경

어제의 꽝을 만회하기 위해 다시 대편성을 했습니다.

붕맨님도 오늘은 대물낚시에 도전해 봅니다.

앵글러님 포인트도 좋아 보입니다.

흑케미님, 봉봉님, 빈수레님이 대편성 중입니다.

두사람은 무슨 이야기를 하고 있는지...^^

봉봉님의 대편성 모습입니다.

빈수레님의 포인트 모습입니다.

태안화력발전소의 밤 전경은 너무 아름답습니다.
입질이 뜸한 틈을 타서 맛난 낙지볶음으로 저녁을 배불리 먹고 다시 이어지는 밤낚시.
바람이 심하게 불지만 모두 굳굳하게 자리를 지키면 낚시를 한다.
새벽에는 바람이 더욱 심하게 불면서 텐트들이 휘청 거릴 정도다.
차가운 맞바람을 정면으로 받으면서 동이 틀때 까지 자리를 지켰는데 동 틀 무렵에 다시 간간히 입질이 이어진다.
날이 밝아 오면서는 언제 바람이 불었냐는 듯이 잔잔해 진다.
정말 바람이 밉다.
낮에 불고 밤에는 잔잔했으면 얼마나 좋았을까 하는 생각이 들 정도다.
날이 따뜻해 지면서는 또 다시 입질이 없다.
이틀간의 주말팀과 함께한 주말 낚시.
즐거움과 정겨움을 한껏 느낄 수 있어서 주말팀... 주말팀은 입큰님들 누구나 함께 할 수 있습니다.^^
|

날이 밝아 오는 이원호 전경입니다.

밤새 입질이 왔지만 주인은 항상 자리를 비웠습니다.

가장 많은 붕어를 걸어낸 구찌님 포인트 입니다.

이제 슬슬 철수를 합시다.

마지막 까지 입질을 기다려 보지만 철수를 해야 합니다.

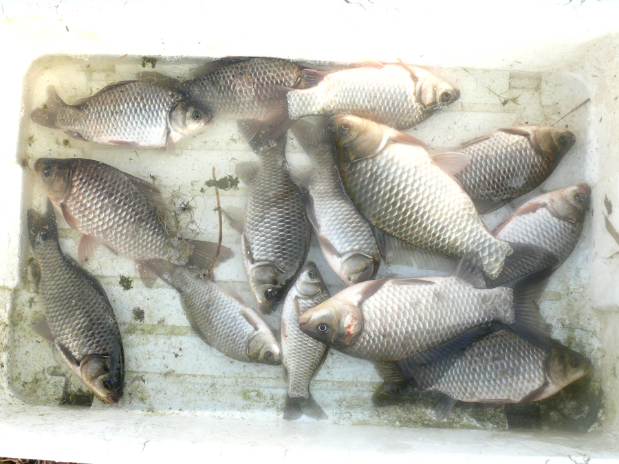
주말팀이 걸어낸 붕어중 7치, 8치, 9치급 모델들만 뽑았습니다.

잘생긴 이원호 9치급 붕어 입니다.

주말팀의 밤낚시 조과를 모아 보았습니다.

'자연은 자연으로 돌아가야 합니다'

|