손맛이 죽여줘요~
하루 걸러 낚시를 가야만이 몸이 가벼운 필자~
낚시 적인 일(!)로 또.. 한이틀 낚시를 못갔더니 오늘은 또.. 어디론가 가야한다~^^
오랜만에 사회동생이자 회원인 권프로님과 미리 약속을 한터라서
오늘은 배수의 영향 수위변동 등을 염려하지 않아도 되는 강낚시를 해보기로 했다~
연기군소재 용수천 발원지가 계룡산에서 시작해서 수km를 거쳐서 금강본류권으로 흐르는 천이다.
근교에 있지만 낚시는 해보지 않았고 그 옛날 다른 권법(!)으로 피라미 등을 많이 잡곤 했던 곳이다~^^
미리 일행이 오후시간 도착하고 필자는 저녁 늦은 시간에 합류를 했다~
우선은 진입이 용이하고 한번만 뒹굴면 바로 포인트라서 마음에 들었다~^^
항상 밤늦은 시간에 현장에 도착한 필자~
본능적으로 포인트를 찾아서 오늘은 떡밥낚시에 조금은 욕심을 부려 9대를 편성했다~
(입질이 없는 낚싯대는 나중에 걷을 생각으로...)^^
수심층도 적당한 2m권 안밖으로 입질만 온다면 강붕어의 당찬 손맛을 느낄 수 있을 것 같다~
섬유질 미끼를 단단하게 뭉쳐서 30분정도에 한번정도로만 바꿔주는 게으른 낚시를 해보기로 했다~
강낚시 특성상 한밤 중에는 별로 기대를 하지않고 버텨보다가 새벽시간대를 노려보기로하고 기다린지
장장 4시간 30분이 지난 새벽 1시 30분경에 첫 입질이 들어온다~
살짝 찌를 건드는가 싶더니 갑자기 찌를 앞으로 쏜살같이 끌고 온다~^^
얼떨결에 첫 수로 이쁜 강붕어가 제 스스로 나오는 격이됐다~^^
동행한 권프로님, 친구분도 가끔씩이나마 한마리씩 붕어를 잡아내는 소리가 들리고,
필자 역시 마음 편하게 눈을 붙일 수 있게 더 나은 한마리를 기다려보지만 입질이 없다~
** 농번기입니다... 입큰님들 출조 시 농민들과 농작물에 피해를 주지 않도록 각별한 주의가 필요한 때입니다.
|

보로 들어가는 진입로... 양호합니다~

보 상류권 발원지는 계룡산입니다~

보 하류권... 금강 본류까지는 약 1km

보 폭은 약 50여m

대편성... 2.1 ~ 3.6칸 까지 9대 수심 2m권 섬유질 미끼

첫 수... 새벽 1시 28분에 얼떨결에 나온 8치급^^

미끼는 단단하게 반죽한 섬유질 외봉으로...
별일없이 시간이 흐르고 이럴 때는 어떻게 해야하는지를 너무도 잘아는 필자~
잠시 눈을 붙이고 알람소리보다 먼저 일어나서 새벽녁 낚시를 시작한지 얼마있지않아서
이번에는 제대로된 이쁜 입질로 붕어가 나오기 시작한다~
탁한 물색의 영향인듯 비교적 짧은 2.1대에서 입질이 집중된다~
자존심 강한 강붕어의 파워가 대단하다.
잠시 1시간여동안 입질이 이어지더니 해가 뜨기 시작면서 약간 주춤해진다~
이미 모델붕어를 잡아놓고 한결 여유로워진 필자.
서서히 주변정리를 하고 당찬 손맛을 안겨준 강붕어에게 고마움을 전한다~^^
|

새벽부터 오더니 땀꽤나 뺍니다~^^

아침이슬 방울이 이쁘네요~

아침나절에 한 수 걸어냅니다~ 권프로님

뒤질세라~ 필자도 한 수~^^

천하장사 강붕어 7치급입니다~^^

회원 가입하고 7년동안 활동한 흔적이 없는 권프로님~^^

동행하신 친구분

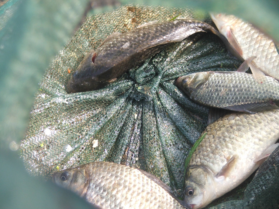
필자의 살림망 새벽녁에 거의 나왔습니다~

권프로님과 친구분의 조과 7 ~ 8치급 외 20여수

대표급만 모았습니다~

다른 모양으로 한방~^^

힘이 장사인 9치급 강붕어의 모습

눈망울이 초롱초롱 합니다~

버려진 비양심들~ ㅠ.ㅠ

붕어들고 포즈한번 잡아봅니다~^^ 권프론님

행복도시 세종시의 건설이 한창입니다~
[용수천 취재종합]
* 일 시 : 2011년 6월 6일(월) 21시 ~ 31일(화) 08시
* 장 소 : 충남 연기군 용수천
* 취 재 : 붕어사랑팀
* 동 행 : 권프로님, 친구분
* 수면적 : 강^^
* 포인트 : 보 하류권
* 수 심 : 2.0m권 內.外
* 현저수율 : 약 100%
* 낚싯대 : 2.1 ~ 3.6까지 9대 - 박프로 기준
* 채 비 : 3.0호 원줄, 2.0호 목줄, 감성돔 5호 외바늘
* 미 끼 : 섬유질 all
* 조 과 : 최대 9치급 외 30여수
* 후기 : 지금처럼 저수지 등 이 불안정한 시기에는 잠시 눈을 돌려 江이나 川 등을 찾아보시면 의외로 당찬 강붕어의 손맛을 느낄 수 있을 것입니다~!
*** 클릭!!~ 화보집을 다 보셨으면 본 브라우저를 닫으십시오!!!
|

|