 요즘 씨알 좋은 떡붕어들이 나오고 있는 소양댐 추곡리권입니다. |
| 요즘 씨알 좋은 떡붕어들이 나오고 있는 소양댐 추곡리권입니다. |
|
 추곡리권 최상류에 장박조사가 자리를 잡고 있습니다. |
| 추곡리권 최상류에 장박조사가 자리를 잡고 있습니다. |
|
 상류권 이 포인트도 좋아 보입니다. |
| 상류권 이 포인트도 좋아 보입니다. |
|
 상류권에 연안낚시를 할 수 있는 포인트가 몇 개 있습니다. |
| 상류권에 연안낚시를 할 수 있는 포인트가 몇 개 있습니다. |
|
 수몰나무 포인트에 좌대가 있습니다. |
| 수몰나무 포인트에 좌대가 있습니다. |
|
 이곳도 연안낚시가 몇 군데 가능합니다. |
| 이곳도 연안낚시가 몇 군데 가능합니다. |
|
 윤교수님이 좌대 배치 포인트를 살펴보고 있습니다. |
| 윤교수님이 좌대 배치 포인트를 살펴보고 있습니다. |
|
 만수위의 소양댐 추곡리권입니다. |
| 만수위의 소양댐 추곡리권입니다. |
|
 오후시간에 윤교수님이 한 수 걸고 힘찬 화이팅을 보여줍니다. |
| 오후시간에 윤교수님이 한 수 걸고 힘찬 화이팅을 보여줍니다. |
|
 해 질 무렵에 다시 화이팅을 보여주는데 씨알이 장난 아니네요. |
| 해 질 무렵에 다시 화이팅을 보여주는데 씨알이 장난 아니네요. |
|
 필자는 밤낚시에 익투스 전자찌를 사용합니다. |
| 필자는 밤낚시에 익투스 전자찌를 사용합니다. |
|
 필자가 밤낚시에 걸어 낸 씨알좋은 떡붕어입니다. |
| 필자가 밤낚시에 걸어 낸 씨알좋은 떡붕어입니다. |
|
 동틀 무렵에 다시 윤교수님이 화이팅이 이어집니다. |
| 동틀 무렵에 다시 윤교수님이 화이팅이 이어집니다. |
|
 추곡리권의 아침 전경. |
| 추곡리권의 아침 전경. |
|
 필자도 아침 입질로 한 수 추가합니다. |
| 필자도 아침 입질로 한 수 추가합니다. |
|
 역시 윤교수님의 실력을 인정합니다.^^ |
| 역시 윤교수님의 실력을 인정합니다.^^ |
|
 취재팀의 조과입니다. |
| 취재팀의 조과입니다. |
|
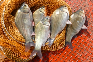
 씨알 좋은 떡붕어 몇 수 사진찍기 위해 꺼내 보았습니다. |
| 씨알 좋은 떡붕어 몇 수 사진찍기 위해 꺼내 보았습니다. |
|
 당당하고 멋진 모습의 떡붕어와 윤교수님입니다. |
| 당당하고 멋진 모습의 떡붕어와 윤교수님입니다. |
|
 체고 좋고, 힘 좋은 소양댐 추곡리권 떡붕어입니다. |
| 체고 좋고, 힘 좋은 소양댐 추곡리권 떡붕어입니다. |
|